In onze vorige reisverslagen hebben jullie al uitgebreid kunnen lezen over onze avonturen in Caïro, het Nubian Village en onze prachtige Nijlcruise. De drukke dagen vol met activiteiten hebben we hierna achter ons gelaten. We hadden namelijk besloten om de laatste 4 dagen in Egypte door te brengen in de badplaats Hurghada. In dit reisverslag vertellen we je precies hoe dit is gegaan.
Van Luxor naar Hurghada
Zoals we in de vorige blog al hadden verteld zijn we na Luxor doorgereisd door Egypte naar Hurghada. Na het inwinnen van wat informatie online besloten we om met de bus te gaan. Dit zou ons maar €15 kosten voor 2 personen. We kozen hiervoor de Go Bus die om 14:35 zou vertrekken. Aangekomen bij de plaats van vertrek vertrok de bus inderdaad mooi op tijd. De bus zat goed vol, maar helaas waren de zitplaatsen erg krap. Ik (Erik) zat dan ook met mijn knieën tegen de stoel van mijn voorganger. Dit liet hij onderweg nog merken, maar na een kleine discussie kwamen we toch echt tot de conclusie dat we er allebei weinig aan konden veranderen.
Helaas duurde de rit wat langer dan de verwachte 4 uur. Nadat we in Hurghada nog wel direct een Uber konden pakken kwamen we om 19:45 uur aan bij het Iberotel Case Del Mar Resort. We werden hier zeer hartelijk ontvangen in het prachtige hotel. Je mag gerust zeggen dat wij geen grote liefhebbers zijn van zogenaamde “All Inclusive” hotels.
In Hurghada leek ons dit voor de laatste dagen van de reis door Egypte echter wel een goede optie. Het kwam dan ook goed uit dat we nog precies aan konden sluiten voor het avondbuffet. De kamer is overigens erg netjes, ruim en met een heerlijk bed. Dat hebben we dan ook gemerkt toen we die avond heerlijk in slaap vielen.
Een rustig dagje en naar het strand
Op dinsdag 21 oktober 2025 hadden we een heerlijk rustig dagje in Egypte in ons hotel in Hurghada. We zijn helemaal opgegaan in het concept van dit hotel en dus sloten we netjes aan voor het ruime ontbijtbuffet. Een drankje in het zwembad mocht natuurlijk ook niet ontbreken nadat we een duik in het zwembad hadden genomen. We lagen lekker op onze bedjes te ontspannen en voor we het wisten konden we het lunchbuffet alweer op gaan zoeken. Zo zij we deze dag doorgekomen. Helemaal niet erg voor een dagje!
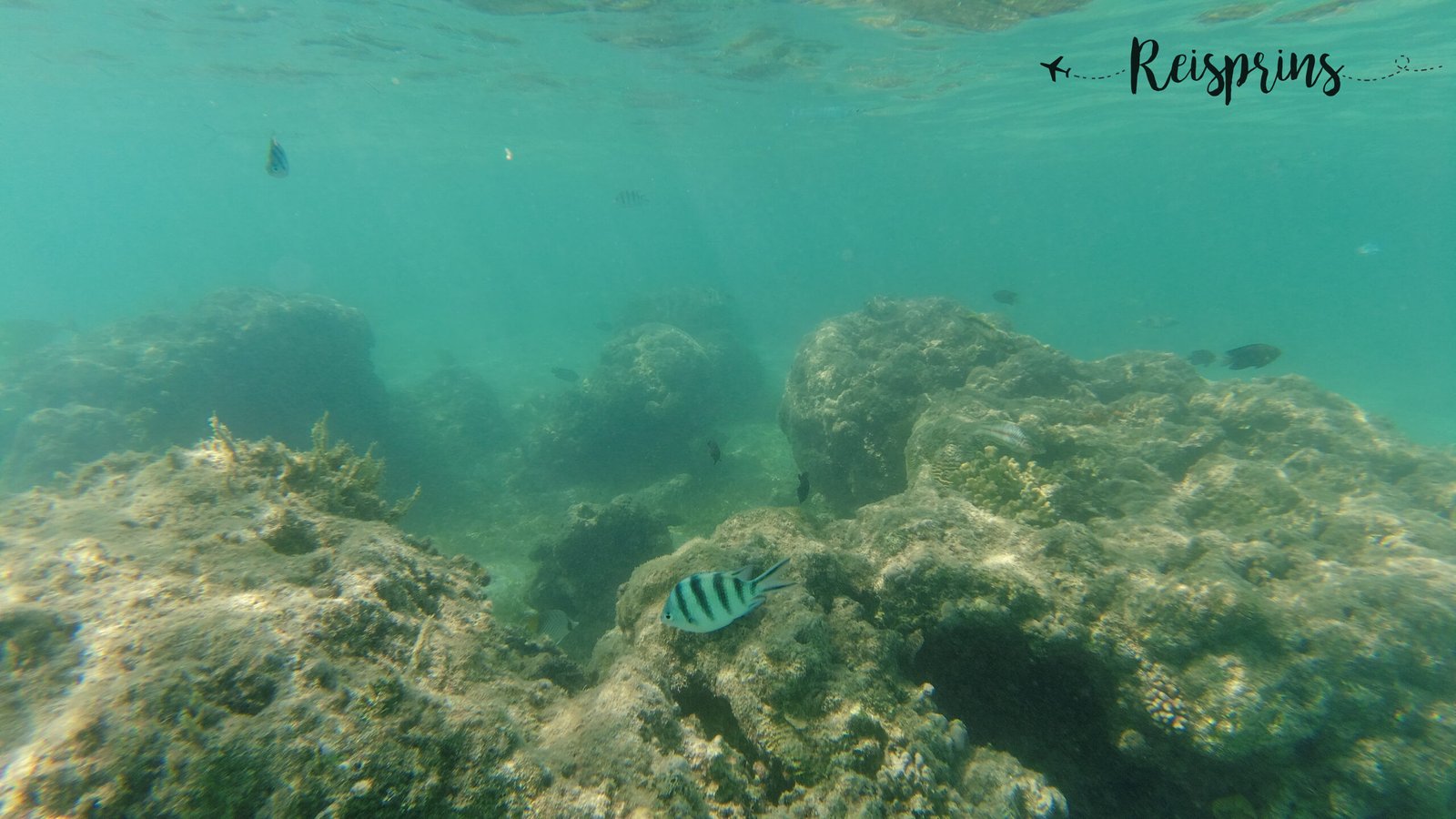
De volgende dag besloten we om naar het strand te gaan. We verbleven in het Iberotel Case Del Mar Resort dat niet direct aan het strand gelegen is. Via een pad dat mooi naast het JAZ Elite Casa Del Mar Beach hotel is gelegen kunnen we echter toch het strand bereiken. Er was zelfs een klein gedeelte met ligbedjes voor ons hotel en we konden er nog altijd genieten van de all inclusive voordelen. Het strand bevindt zich eigenlijk in een soort baai, dus er waren nauwelijks golven.
Na een kleine wandeling kwam ik (Erik) er achter dat we via een omweg een gedeelte van de zee konden bereiken waar we konden snorkelen. Dat hoef je Judith geen tweede keer te zeggen dus lagen we al snel op onze buiken in het water op zoek naar visjes. Het was geen groot en diep gebied, maar er viel nog best wel wat te zien. We snorkelden even en genoten er van een lunch voordat we ons gingen afspoelen in het zwembad. Het hotel waar we zitten is echt uitstekend met een paar prachtige schone zwembaden en een uitstekende service.
Het Management Dinner
Die avond stond er zelfs nog een diner op het programma. We waren uitgenodigd voor het “Management Dinner”. Eerlijk gezegd denken we dat ze dit voor alle gasten doen die via Booking hebben geboekt. We kregen een 3 gangendiner dat heerlijk smaakte. Zoals het schijnbaar hoort op een resort is er iedere avond entertainment. Deze avond was er nog een zangeres. We kregen te horen van het personeel dat veel van de entertainers tegenwoordig uit Cuba komen vanwege de kosten. Ondanks dat ze van ver was gekomen was haar zang niet al te best. We hebben nog een gedeelte van de zogenaamde Sultanshow gezien, maar toen was het mooi geweest.
De snorkeltour naar Hula Hula Island
Er zijn soms wat momenten waarbij onze darmstelsels nog niet helemaal hersteld lijken te zijn van onze laatste dag in het Nubian Village. Gelukkig is het meestal van korte duur en worden we fit wakker. Dat was ook zo op donderdag 23 oktober 2025 toen we na het ontbijt bij de receptie klaar gingen zitten. We hadden namelijk online via Bas Tours voor €35 per persoon een tour geboekt naar Hula Hula Island. Dit is gewoon een onderdeel van Giftun Island, waar de verschillende stranden een eigen naam hebben gekregen.
We hadden voor deze tour gekozen omdat we nog heel graag wilden gaan snorkelen in de Rode Zee. Deze zee staat bekend om het prachtige koraal en heldere water, dus dat wilden we wel eens zelf zien. Toen we eindelijk met een busje werden opgehaald werden samen met een Mexicaanse familie in een klein haventje afgezet. We kwamen terecht op een grote boot waar we met ongeveer 35 personen op zaten. Er was voldoende ruimte en en gedeelte van de groep ging duiken in plaats van snorkelen.
Lekker snorkelen
Op de heenweg richting Hula Hula Beach Island zouden we 2 snorkelstops maken. Bij de eerste stop was het behoorlijk druk met andere boten. Een van de bemanningsleden nam ons mee en deze moesten we dan ook goed volgen. We hadden al snel door dat we op deze manier op gepaste afstand van het koraal zouden blijven. Het water was echt kristalhelder en het koraal was verrassend mooi. We zagen talloze kleurrijke vissen die in grote scholen zich door het water bewogen. We hebben ongeveer 40 minuten rondgesnorkeld voordat we verder gingen naar de volgende snorkelstop.
Hier was het een stuk minder druk, maar niet minder mooi. De stroming was er wel wat sterker dus het koste ons wat meer moeite om mee te zwemmen. Lekker snorkelend door het water was er nog genoeg tijd om foto’s en video’s te maken. Deze tour beviel ons wel. Het volgende deel van de tour was een prima lunch die we op de boot konden nuttigen voordat we bij Hula Hula Beach Island aankwamen. Dit was echter niet voordat we er op gewezen werden dat de bemanning dolfijnen zagen zwemmen. We renden dus snel naar boven om hier nog wat filmpjes van te maken.
We werden vlak voor het eiland met een bootje opgehaald en naar het strand gebracht. Hier konden we 1 1/2 uur lang lekker chillen en genieten van het eiland. Het was hier overigens erg druk, maar we kregen allemaal een mooi eigen plekje toegewezen. We konden zo even bijkomen van het snorkelen voordat we met de boot weer terug naar Hurghada gingen.
De tour was ons verrassend goed bevallen, vooral door het feit dat we veel konden snorkelen. Terug bij het hotel namen we nog een frisse duik in het zwembad voordat we dit avond weer aansloten voor het avondbuffet. Het eten in het hotel is uitstekend en met goed gevulde buiken liepen we nog even de straat door om wat leuke souvenirs te halen.
Nog een laatste dagje ontspannen en terug naar Nederland
Op vrijdag 24 oktober 2025 was onze laatste dag in Egypte. We hadden dan ook besloten om lekker uit te rusten van de reis die we hadden gemaakt. Je zou het soms niet zeggen, maar dat kunnen wij ook best goed. De dag bestond dus weer uit lekker chillen bij het zwembad, even een duik in het water nemen en soms even van de glijbaan gaan. Met de vriendelijke bediening om ons heen kwamen we niks te kort op zo’n dag. Na het avondeten lagen we op tijd op bed en gelukkig vielen we snel in slaap.
Dat was wel nodig ook want om 3:15 uur ging de wekker al. We douchten ons en pakten de laatste spullen. We kregen nog ontbijt mee en ondanks wat onderhandelen kwam er mooi om 4:00 uur een Uber ons ophalen. In ongeveer 10 minuten stonden we mooi op tijd op het vliegveld voor onze vlucht van 6:00 uur. De eerste vlucht ging naar Caïro waar we na een paar uur wachten rond 10:30 uur vertrokken naar Amsterdam. Judith had helaas een buurman in het vliegtuig die nogal wat bewegingsruimte in beslag nam. De vlucht ging voorspoedig en nadat we bijna 1 uur (!) op onze backpacks hebben moeten wachten konden we eindelijk naar huis rijden.
We kijken terug op 2 geweldige weken in het prachtige Egypte dat op ons allerlei manieren positief heeft verrast. De komende tijd kan je dan ook talloze interessante artikelen verwachten over onze activiteiten in Egypte. Mocht je graag een artikel willen zien over een specifiek onderdeel van onze reis dan kan je altijd contact met ons opnemen. Bedankt voor het lezen en tot het volgende avontuur!
Benieuwd naar de bewegende beelden van onze reis naar Egypte?
Check dan hieronder de video van ons YouTube kanaal!






























































LAAT EEN REACTIE ACHTER